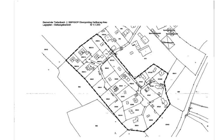
Sie sind hier: Startseite » Bekanntmachung über den Beschluss zur Aufstellung eines Bebauungsplanes / Grünordnungsplanes
Das Rathaus ist heute zu den folgenden Zeiten geöffnet:
Dann kontaktieren Sie uns einfach jederzeit unter folgenden Kontaktmöglichkeiten:
Sie sehen gerade einen Platzhalterinhalt von Vimeo. Um auf den eigentlichen Inhalt zuzugreifen, klicken Sie auf die Schaltfläche unten. Bitte beachten Sie, dass dabei Daten an Drittanbieter weitergegeben werden.
Mehr InformationenSie sehen gerade einen Platzhalterinhalt von YouTube. Um auf den eigentlichen Inhalt zuzugreifen, klicken Sie auf die Schaltfläche unten. Bitte beachten Sie, dass dabei Daten an Drittanbieter weitergegeben werden.
Mehr Informationen